Moving Outdoor Plants Indoors For The Winter? Avoid These Mistakes At All Costs

We may receive a commission on purchases made from links.

Bringing outdoor plants inside is how you save tender favorites and keep your collection going, but small mistakes turn into big problems under your roof. Cold shock causes sudden leaf drop, hitchhiking bugs multiply, and a summer watering routine can drown roots indoors. I'm a master gardener, and I've been doing fall plant moves for years, so I'm sharing the key mistakes to avoid.

For successful overwintering, move plants in before the first true cold snap. Make the change gradual, the same way you transition seedlings from the greenhouse to the garden in spring. Clean everything, quarantine newcomers, and hold off on stressful root work until growth picks back up. Indoors, water less often, feed lightly or not at all, and give plants more light than you think they need.

Waiting for the first frost: Cold shock triggers leaf drop

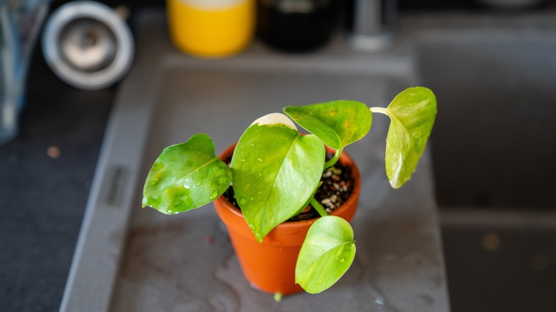
Many tender plants take damage well above freezing. Chilling injury starts around 45–50°F for typical tropicals and warm-season annuals. Cold stress shows up as limp growth, blackened patches, or a fast shed of leaves after you bring them inside. If you wait until the first frost warning, you may already be too late. The tissue damage has likely already started, especially for warmer-weather plants. Even one or two chilly nights can weaken plants enough that the indoor transition becomes rougher than it needs to be.

Beat the cold by watching the 10-day forecast and moving plants in once nights consistently dip near 50°F. Prioritize true tropicals and warm-season bloomers first, like coleus, mandevilla, hibiscus, basil, and peppers in pots. Make the move calm and clean. Put each plant on a tray so you can move it easily again during quarantine and early repositioning. If you did get caught by a surprise cold snap, cut away the worst-hit foliage, keep the plant warm and bright, and resist the urge to drown it with "comfort water". Damaged roots breathe best in evenly moist, not soggy, soil.

Skipping acclimation: Light and humidity plunge stresses foliage

Outdoors, even bright shade delivers far more light than a typical room. Dragging a sun-grown plant straight into a dim corner is a recipe for scorch, yellowing, leaf drop, and stalled growth. Instead, shift plants from direct sun to bright shade for about a week outdoors so leaves adjust, then move them inside to your brightest windows or under lights. It's basically the reverse of hardening off your young plants when you transition them from the greenhouse to the garden.

Give 7–10 days of bright, open shade outdoors, then bring plants inside to south- or west-facing glass, or to LED grow lights positioned roughly 12–18 inches above the canopy for long "daylengths" in winter. Rotate pots a quarter turn weekly so growth stays even, and wipe dust off leaves so the light you do have actually reaches the tissue. Watering should also shift: as transpiration drops indoors, let the top of the mix dry before you water again, and avoid the "every Friday" routine that worked outside through the summer.

Not inspecting and cleaning plants: Pest populations explode indoors

Outdoors, you may not notice a few pests setting up shop for the winter in your pots. Scale, mealybugs, aphids, whiteflies, spider mites, thrips, and their eggs tuck into leaf axils, the undersides of leaves, and along stems and pot rims. But, once inside, stable temperatures, fewer natural predators, and close plant spacing let small populations grow super fast. Your first line of defense is a slow, methodical inspection before the plant ever crosses the threshold. Look for sticky honeydew, webbing at nodes, cottony bits in crevices, stippling on leaves, and tiny crawlers along midribs. Check the pot's drain holes and saucer, too, as gnats, slugs, and sowbugs love damp spots.

Clean as you check. Rinse foliage thoroughly using a hose with a gentle spray or a handheld shower sprayer. Dislodge dust, eggs, and light infestations with water pressure alone on sturdy leaves. For delicate foliage, use a soft cloth dampened with plain water to wipe both sides. If you see clusters of mealybugs or scale, dab with cotton swabs dipped in 70% isopropyl alcohol, but don't let the solution pool or cover the entire plant, as it can damage it. If the top half-inch of potting mix is littered with debris or gnat larvae, gently scrape and replace that thin layer with fresh, sterile mix. Finish with a full rinse so no soap residue remains. Only after plants are clean and dry should they come indoors.

Skipping quarantine: Pests spread to all your houseplants

Eggs and tiny crawlers are easy to miss, even on a plant where you followed the directions above, and it looks "clean." Once inside, they can spread to every nearby plant in a week. Quarantine is a must. Park newcomers in a separate room for a few weeks, checking them for bugs regularly. Give them bright conditions and your normal care routine, but handle quarantined plants last so you're not carrying pests on your hands or tools from room to room.

To find pests easily, place insect trap sticky cards just above the canopy to catch whiteflies, fungus gnats, and leafminer adults, and swap cards weekly so you can see fresh activity. Inspect the plants for insects every time you check to see if they need water. If you find pests, treat in place and reset the quarantine clock. Only integrate plants after two clean weeks with no new catches or visible pests. When you do move them, keep a fresh sticky card nearby for the first month. It's also a good idea to give them a little more elbow room among your existing houseplants, just in case.

Repotting right before the move: Double stress slows recovery

Repotting disturbs roots, and moving indoors drastically changes a plant's light, humidity, and temperature all at once. I know it's tempting, but doing both together multiplies stress and increases the risk of shock, very similar to transplant shock with seedlings. Unless the plant is severely rootbound or sitting in sour, collapsing potting mix, delay major repotting until late winter or spring when you see active growth again. Fresh, vigorous roots handle a new pot and fresh medium far better than semi-dormant ones struggling to adapt.

If you really must repot now, be conservative. If a plant is drowning in a collapsed medium, infested deep in the root zone, or suffering from a rotten pot, then there's really no other option. Put the plant into a container just one size larger, disturb the root ball as little as possible, and use a high-quality, free-draining potting mix that you've pre-moistened so it's evenly damp, not soggy. Miracle-Gro's organic indoor potting mix available on Amazon is a good choice as it helps balance moisture. 

Overwatering: Roots suffocate and rot

Indoors, plants use far less water. Aside from lower light levels and slower evaporation, plants you're overwintering are dormant or semi-dormant, so they need less water. Constantly wet mix pushes oxygen out of pore spaces, leading to root rot and a potential gnat boom. Water by need only. Check moisture with your finger, and wait until the top inch is dry for most plants, going a bit deeper for large containers. You can also lift the pot. If it's light, it's dry and probably needs some water. When you water, do it thoroughly. Water until it flows from the drain holes, then let the pot drain completely. This flushes accumulated salts and wets the root zone evenly, which is healthier than frequent sips.

Lift the pot when it's freshly watered and again when it's ready for water. The contrast trains your hands better than any device. Expect slower uptake in cool rooms and shorter days, and adjust accordingly. If leaves droop, check the root zone before assuming "thirst." Overwatered roots can't pull water, either.

Fertilizing through dormancy: Pushes weak, pest-prone growth

Once you bring your plants indoors, stop feeding them. They're getting ready to go into a dormant or semi-dormant state as the days shorten and light levels drop, so they don't need extra food. Fertilizing now forces the plant to try and produce new growth, but it'll be soft, leggy growth that snaps and attracts pests. And it ultimately weakens the plant.

The plant also won't consume too much fertilizer, so those excess minerals and salts accumulate in the soil, causing more problems. During winter, your plants need to rest and reset, so don't kill them with kindness. Wait until you see new growth in spring before you feed them, and only resume feeding gradually. Start at half strength for the first couple of feeds so you don't shock or overwhelm an awakening plant. If you see leaf tip burn, unexplained wilt, crust on the soil surface, or slowed growth after feeding, stop. The plant is telling you it's not ready yet.

Underestimating light needs weakens plants

Even a "bright" winter window is weak compared with outdoor light levels. Plants used to outdoor lighting stretch and pale quickly if you park them across the room from a window, and flowering species may stop budding altogether in winter. South- and west-facing glass is prime real estate. If your plant starts to stretch, it needs more light, even if that just means moving it closer to a window. Depending on how much sun your house gets in winter, you may want to supplement sunlight with artificial light. Go for LEDs, not old-school incandescent bulbs, which can give off too much heat and damage delicate plant tissue.

Position LED grow lights like the Leoter adjustable, full-spectrum LED grow lights 12 to 18 inches above the canopy, and give 12 to 14 hours per day to typical sun-loving plants. Raise or lower fixtures to keep leaves from touching and to avoid bleaching. Rotate pots a quarter turn weekly so growth stays even, and wipe dust from leaves and bulbs so the photons you're paying for actually reach the tissue.

Ignoring humidity: Dry air invites mites and crispy tips

With the heat pump running indoors, humidity can quickly drop below 30 percent, which causes leaves to lose water faster than roots can replace it. This results in tips going brown and leaf edges crisping. Cluster plants to create a slightly moister pocket, without inhibiting airflow, of course. Use pebble trays that keep pots above (not in) water, and run a small room humidifier, like this 2-liter cool mist ultrasonic humidifier near vulnerable species like poinsettias.

As with anything related to plants, it's a balancing act. You still need some gentle air movement, even though this does dry soil out faster. But it also helps the leaves dry out and creates a less hospitable environment for pests and pathogens. If air circulation isn't sufficient, aim a small fan to skim above the foliage rather than blasting plants directly, just to keep some gentle, room-temperature air movement. What you don't want is hot, dry air from a vent blowing directly on a plant. More on that next.

Parking plants near heat vents, radiators, or drafty doors

Drafty spots cause rapid leaf temperature changes that can result in wilt or leaf spot issues. Constant hot air desiccates leaves and can cause leaf drop. Therefore, you want to keep plants out of direct air streams and away from drafty doorways. It's also smart to keep them at least a few feet from radiators, as the dry heat dessicates the plants and confuses them. They are in their winter phase, so shouldn't be exposed to excessive warmth or temperature swings.

You can create plant-friendly microclimates by positioning a table a few feet from a radiator and window, for example. If there's a vent nearby, and no better spot for your plant, create a buffer by moving another piece of furniture to deflect the air stream from the vent. Sometimes you need to get a little creative to get the right balance.

Crowding plants restricts airflow and encourages disease and pests

Although positioning plants in a grouping can promote a "moisture zone," direct leaf-to-leaf contact traps moisture on surfaces and gives pests easy bridges from plant to plant. Even if, when you brought your plants indoors, they looked perfectly healthy, there could still have been pathogens or tiny pests in the soil or the foliage that you didn't spot. And, if you overcrowd your plants, you create an environment in which these pests and diseases can thrive. Especially fungal pathogens that love warm, dark, dense foliage with minimal airflow. Fungal leaf spots, anthracnose, gray mold, and powdery mildew are all prime examples.

Space pots at least an inch or two apart and avoid wall-to-wall foliage on shelves. Remove fallen leaves and spent petals so they can't harbor spores. Clean tools and wipe your hands between plants during problem periods so you don't transfer the pathogens. If you do see fuzzy gray patches, brown, yellow, or crispy leaf edges, or unexpected leaf spots, remove affected tissue immediately, thin the canopy slightly, and improve circulation so you're treating the cause, not just the symptom.

Letting pots sit in saucers of water causes chronic root hypoxia

Standing water around the base of a pot pushes oxygen out of the soil and keeps the plant's roots in a cold, anaerobic environment that quickly causes issues. If you leave that water to stagnate, you're inviting root rot and killing off beneficial microbiota in the soil. Plus, this standing water encourages a fungus gnat plague and an explosion of root rot organisms. After each thorough watering, empty saucers within 15 minutes so the root zone can re-oxygenate and the mix can begin a normal dry-down. You may have to drain the saucer a few times. Or, be like me and let them sit in the bath or my kitchen draining board until they're done.

Also remember, if you've watered from the top down, you've flushed a lot of minerals and salts from the mix, and they're now sitting in the water in the saucer. You do not want your plant to reabsorb these. I like to use pot feet, like these transparent adhesive feet, to lift the containers, so the plants can drain without the drain holes sitting in the runoff. Always remove your decorative drainless cover pot, if you use one, whenever you water, and don't replace it until the plant has finished draining.

Bringing in diseased foliage can cause pathogens to overwinter in your home

Powdery mildew, leaf spots, cankers, and many other pathogens don't disappear just because you crossed a threshold. In fact, warm humid conditions inside your home give them the perfect breeding ground. Before you bring plants inside, strip off any infected foliage, throw it in the bin (not the compost), and sanitize pruners between plants so you don't smear spores from plant to plant.

Be cautious. Keep leaves dry between waterings by watering the soil, not the foliage, and avoid overcrowding that traps moisture on surfaces. If you've had recurring issues, a gentle leaf wash in the shower or the right horticultural sprays used according to their specific packaging directions can remove spores. Let plants dry thoroughly before returning them to their spot. And be wary of using any horticultural sprays, even organic ones, if you have pets. Sprays like neem oil can be dangerous for furry friends, but work wonders if used safely.

Ignoring dormancy needs for certain perennials fights their biology

While there are many cold-sensitive plants that need lifting for winter, not all of them need excessive heat and light. Some outdoor favorites overwinter best with a cool rest or full dormancy, not in a toasty lounge. Geraniums (Pelargonium), for example, prefer to be stored cool and dormant, with minimal warmth, water, and care. And tender bulbs, corms, and tubers like gladiolus and dahlias get lifted and stored dry until spring so they can stay fully dormant. Don't mess with nature and biology. If you want to grow gladiolus, for example, lift them and overwinter them as nature intended.

Let plants that need to sleep away the winter do so, with no interference from you. Aside from lifting and bringing them into an appropriately sheltered space within their preferred temperature range. Some of my tender perennials, like elephant's ear and cannas, which don't like too much heat or fuss, get stored in the rafters of my garage. It's dry and safe, but unheated, which is perfect for those tubers and plants that like to rest for the winter in cool, dry conditions. Temperatures stay between 40 and 60 degrees Fahrenheit, which is the perfect range for most dormant perennials.

Not monitoring for fungus gnats after the move

I loathe fungus gnats. Not because they're icky, but because they signal a problem with my plants, and I know that the larvae can wreak havoc with fine roots. Adults are a nuisance, but larvae can also spread algae and disease in trays and saucers. And, they can suddenly become noticeable weeks after you have moved your plants indoors. To get rid of fungus gnats, let the top layer of soil dry between waterings, keep saucers clean and empty, and place yellow sticky traps like these Landisun fly traps at soil level to monitor adult numbers.

Break the life cycle. This might take a couple of weeks. If you catch a lot on your yellow sticky paper, or see tiny larvae at the soil surface, water less frequently and consider a surface dressing of coarse sand, fine gravel, or fresh potting mix to make the top layer drier and less hospitable. Avoid bottom watering for a while; it keeps the top perpetually moist, which gnats love. Remove decaying leaf litter and algae films anywhere water collects.

Recommended